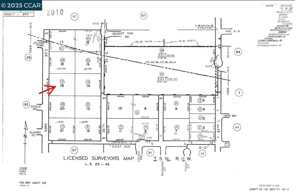
33rd St. E and Ave. S-12Palmdale, CA 93550
Due to the health concerns created by Coronavirus we are offering personal 1-1 online video walkthough tours where possible.



Excellent location in Palmdale just four miles from Highway 14, south of Avenue S and just north of Pearblossom Highway. Is perfect for building your dream home or for a potential subdivision. Well established neighborhood with existing homes directly across the street. Zoning for this 1.79 acre parcel - APN# 3052-011-015 - allows for single family homes on 7,000 square foot lots and ADU (Accessory Dwelling Unit) may be possible according to the Palmdale city's website. Parcel fronts on paved 33rd street east and utilities appear to be available in the area. This Location is in very close proximity to major shopping center, schools, parks, Kaiser medical facilities and the DryTown Water Park on Avenue S. All data is provided without verification or warranty. Buyer to verify all data and suitability for Buyer's intended use. (Longitude/Latitude: 34.548160°/-118.068958°).
| 3 hours ago | Listing updated with changes from the MLS® | |
| 12 hours ago | Listing first seen on site |
This information is for your personal, non-commercial use and may not be used for any purpose other than to identify prospective properties you may be interested in purchasing. The display of MLS data is usually deemed reliable but is NOT guaranteed accurate by the MLS. Buyers are responsible for verifying the accuracy of all information and should investigate the data themselves or retain appropriate professionals. Information from sources other than the Listing Agent may have been included in the MLS data. Unless otherwise specified in writing, the Broker/Agent has not and will not verify any information obtained from other sources. The Broker/Agent providing the information contained herein may or may not have been the Listing and/or Selling Agent.
Did you know? You can invite friends and family to your search. They can join your search, rate and discuss listings with you.