Save
Ask
Tour
Hide
$299,000
2 Days On Site
2126 E Avenue ILancaster, CA 93535
For Sale|Land|Active
County:
Los Angeles
Listed by Sammy Lyon of Dow Capital [email protected]
Due to the health concerns created by Coronavirus we are offering personal 1-1 online video walkthough tours where possible.




Save
Ask
Tour
Hide
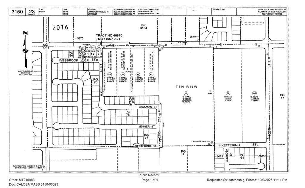
Vacant lot in East Lancaster neighborhood! Surrounded by single family homes and businesses. Public transportation and easy access to utilities available. Land is located across from the E Ave I & 20th St E bus stop, and bordered by E Ivesbrook St, 21st St E and Jackman Street. Frontage is on city street E Avenue I. Single family homes within .5 miles of this lot sold for an average of $485,000 or $245/sf. You can get this land for $2.70/sf. Rectangular lot size is 107,729sf (2.47 acres). Zoning LRD21* Residential - Vacant Land. APN: 3150-023-044
Save
Ask
Tour
Hide
Listing Snapshot
Price
$299,000
Days On Site
2 Days
Bedrooms
N/A
Inside Area (SqFt)
N/A
Total Baths
N/A
Full Baths
N/A
Partial Baths
N/A
Lot Size
2.4731 Acres
Year Built
N/A
MLS® Number
GD25261171
Status
Active
Property Tax
N/A
HOA/Condo/Coop Fees
N/A
Sq Ft Source
N/A
Friends & Family
Recent Activity
| 2 days ago | Listing first seen on site | |
| 2 days ago | Listing updated with changes from the MLS® |
General Features
Acres
2.4731
Additional Property Use
Unimproved
Disclosures
ConditionalUsePermit
Land Lease
No
Sewer
Unknown
Special Circumstances
Standard
Utilities
Electricity AvailableNoneSewer AvailableWater Available
Water Source
Public
Zoning
LRD21
Save
Ask
Tour
Hide
Exterior Features
Fencing
None
Lot Features
LevelNear Public TransitRectangular Lot
Road Frontage
City Street
View
None
Waterview
None
Community Features
Community Features
SuburbanSidewalks
Financing Terms Available
CashConventional
MLS Area
LAC - Lancaster
This information is for your personal, non-commercial use and may not be used for any purpose other than to identify prospective properties you may be interested in purchasing. The display of MLS data is usually deemed reliable but is NOT guaranteed accurate by the MLS. Buyers are responsible for verifying the accuracy of all information and should investigate the data themselves or retain appropriate professionals. Information from sources other than the Listing Agent may have been included in the MLS data. Unless otherwise specified in writing, the Broker/Agent has not and will not verify any information obtained from other sources. The Broker/Agent providing the information contained herein may or may not have been the Listing and/or Selling Agent.
Neighborhood & Commute
Source: Walkscore
Disclosure: Community information and market data powered by Constellation Data Labs. Information is deemed reliable but not guaranteed.
Save
Ask
Tour
Hide
Did you know? You can invite friends and family to your search. They can join your search, rate and discuss listings with you.