Save
Ask
Tour
Hide
$9,000
New Listing
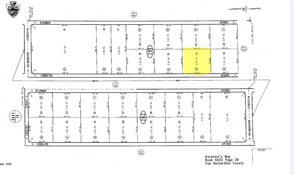
0 APN 0453-281-02-0000Lucerne Valley, CA 92356
For Sale|Land|Active
County:
San Bernardino
Listed by Christy Cimino of First Team Real Estate [email protected]
Due to the health concerns created by Coronavirus we are offering personal 1-1 online video walkthough tours where possible.



Save
Ask
Tour
Hide
This 2.24 acres in Lucerne Valley, easily located off Highway 247 (Barstow Road). This level lot offers endless opportunities, whether you are looking for recreational use, weekend retreats, or future home development. Bring an RV or trailer and enjoy being a little off grid but still close enough to Barstow or Lucerne Valley. If you are looking to create a Desert Getaway this could be a wonderful opportunity.
Save
Ask
Tour
Hide
Listing Snapshot
Price
$9,000
Days On Site
0 Days
Bedrooms
N/A
Inside Area (SqFt)
N/A
Total Baths
N/A
Full Baths
N/A
Partial Baths
N/A
Lot Size
2.24 Acres
Year Built
N/A
MLS® Number
HD26080281
Status
Active
Property Tax
N/A
HOA/Condo/Coop Fees
N/A
Sq Ft Source
N/A
Friends & Family
Recent Activity
| 12 hours ago | Listing first seen on site | |
| 12 hours ago | Listing updated with changes from the MLS® |
General Features
Acres
2.24
Additional Property Use
Residential
Land Lease
No
Sewer
None
Special Circumstances
Standard
Utilities
NoneSewer Not AvailableWater Not Available
Water Source
None
Zoning
LV/RL
Save
Ask
Tour
Hide
Exterior Features
Fencing
None
Lot Features
Level
Road Frontage
Unimproved
View
Desert
Waterview
Desert
Community Features
Financing Terms Available
Cash
MLS Area
LUV - Lucerne Valley
Roads
Unimproved
This information is for your personal, non-commercial use and may not be used for any purpose other than to identify prospective properties you may be interested in purchasing. The display of MLS data is usually deemed reliable but is NOT guaranteed accurate by the MLS. Buyers are responsible for verifying the accuracy of all information and should investigate the data themselves or retain appropriate professionals. Information from sources other than the Listing Agent may have been included in the MLS data. Unless otherwise specified in writing, the Broker/Agent has not and will not verify any information obtained from other sources. The Broker/Agent providing the information contained herein may or may not have been the Listing and/or Selling Agent.
Neighborhood & Commute
Source: Walkscore
Disclosure: Community information and market data powered by Constellation Data Labs. Information is deemed reliable but not guaranteed.
Save
Ask
Tour
Hide
Did you know? You can invite friends and family to your search. They can join your search, rate and discuss listings with you.